
“Una situación extremadamente peligrosa”.
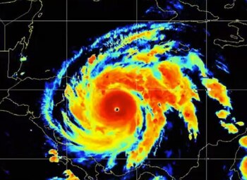
Así calificó el Centro Nacional de Huracanes de EEUU (NHC, por sus siglas en inglés) el acecho del huracán Iota, que en las últimas horas se fortaleció rápidamente en el Mar Caribe, y avanza hacia Centroamérica como un poderoso fenómeno de categoría 5, es decir, el máximo nivel en la escala Saffir-Simpson.
“Se espera que traiga vientos catastróficos, una marejada ciclónica amenazante para la vida e impactos de lluvia extrema a América Central”, informó el organismo climático con sede en Miami.
Si el sistema mantiene su velocidad y trayectoria, tocará tierra alrededor de la noche del lunes 16 de noviembre, en el noreste de Nicaragua, cerca de Honduras, países que aún se recuperan de la embestida del ciclón Eta.
A medida que se acerca al litoral, Iota generará marejadas ciclónicas que se moverán entre los 3.65 y los 5.50 metros. Esto significa que en zonas costeras de Nicaragua y Honduras, el agua se adentrará en las comunidades y la marea podría elevarse hasta 5.50 metros sobre el nivel normal.
Minuto a minuto, con hora de Nicaragua y Honduras (GMT-5)

21:08 (03:08 GMT): El huracán comenzó a causar estragos en la Región Autónoma del Caribe Norte (RACN) de Nicaragua, con vientos devastadores de hasta 260 kilómetros por hora y lluvias torrenciales.
Según el director de Meteorología del Instituto Nicaragüense de Estudios Territoriales (Ineter), Marcio Baca, Iota es el huracán más potente que se registra en la historia de ese país. “Este potente huracán Iota ya está prácticamente (sobre Nicaragua), la parte delantera o la parte izquierda del centro de la tormenta ya está en tierra”.
12:15 (18:15 GMT): el Centro Nacional de Huracanes (NHC, por sus siglas en inglés), advirtió que el catastrófico huracán Iota, de categoría 5 en la escala Saffir, está cada vez más próximo a Nicaragua.
“Iota se acerca a Nicaragua. Los vientos con fuerza de huracán deberían comenzar en unas pocas horas, y se espera que toque tierra esta noche. Esta es una situación que pone en peligro la vida, por favor preste atención a los consejos de las autoridades locales”, informó.
12:00 (18:00 GMT): el huracán Iota, de categoría 5 en la escala Saffir-Simpson, se dirige hacia Nicaragua.
Así lo confirmó el NHC, que indicó además que los vientos máximos sostenidos del sistema se mantienen en 260 kilómetros por hora.
“En la trayectoria pronosticada, el núcleo de Iota tocará tierra en el área de advertencia de huracán en el noreste de Nicaragua esta noche, y se disipará en América Central el miércoles”, indicó el organismo climático.
Esto significa que se prevé que el ciclón impacte a ese país, en algún punto entre el sur de Sandy Bay Sirpi y Bluefields (consultar avisos emitidos a las 06:00 horas). En este momento, el vórtice se sitúa a 100 kilómetros de Isla de Providencia, en Colombia, y a 130 kilómetros al este de Puerto Cabezas, en Nicaragua.
09:00 (15:00 GMT): los peores pronósticos de los meteorólogos se cumplieron, y el destructivo huracán Iota evolucionó a categoría 5, es decir, el máximo nivel de la escala Saffir-Simpson.
“Se pronostica que Iota seguirá siendo un huracán catastrófico de categoría 5 cuando se acerque a América central esta noche, y se espera que se debilite rápidamente tras tocar tierra”, informó en su reporte el NHC.
De acuerdo al organismo climático, los vientos máximos sostenidos del ciclón son extremadamente violentos, y pasaron de 245 a los 260 kilómetros por hora. El vórtice se sitúa cada vez más cerca de Centroamérica, a 65 kilómetros al oeste de Isla de Providencia, Colombia, y a 160 kilómetros al este-sureste de Puerto Cabezas, Nicaragua.
Las alertas emitidas a las 06:00 se mantienen, pero se modificó el aviso de tormenta tropical, ya que el gobierno de Honduras decretó que se amplíe este alerta, que ahora se extiende desde el oeste de Punta Patuca hasta la frontera entre Honduras y Guatemala, incluyendo las Islas de la Bahía.
06:10 (12:10 GMT): Iota se intensificó rápidamente durante la madrugada, y evolucionó a huracán de categoría 4 en la escala Saffir-Simpson, con vientos máximos sostenidos de 245 kilómetros por hora.
El centro del ciclón se localiza a 35 kilómetros al noroeste de Isla de Providencia, Colombia, y a 235 kilómetros al sureste de Cabo Gracias a Dios, que se ubica entre la frontera de Nicaragua y Honduras. Se mueve hacia el oeste a 17 km/h, rumbo a Centroamérica.
Desde el NHC, emitieron las siguientes alertas:
- Aviso de huracán: Providencia; la costa de Nicaragua desde la frontera con Honduras hasta Sandy Bay Sirpi; la costa del noreste de Honduras desde Punta Patuca hasta los límites con Nicaragua.
- Vigilancia de huracán: San Andrés.
- Aviso de tormenta tropical: San Andrés; la costa de Nicaragua desde el sur de Sandy Bay Sirpi hasta Bluefields; la costa norte de Honduras desde el oeste de Punta Patuca hasta Punta Castilla.
Información en desarrollo
MÁS SOBRE ESTE TEMA:
Últimas Noticias
Luis Arce, ex presidente de Bolivia, no declaró tras su arresto en la causa de corrupción vinculada al Fondo Indígena
“Hace unos minutos se le tomó su declaración informativa al señor Luis Arce y, haciendo uso de su derecho constitucional y estando asistido por su defensa técnica, decidió acogerse al silencio”, señaló el fiscal general del Estado, Roger Mariaca

María Corina Machado realizó su primera aparición pública en Oslo tras más de un año en la clandestinidad
La líder opositora venezolana cantó el himno y saludó a sus seguidores desde el balcón de su habitación en el Grand Hotel Oslo, el punto tradicional donde se congrega el público tras la ceremonia del Nobel
HRW cuestionó al Gobierno de Ecuador por congelar cuentas de organizaciones sociales con informes secretos de inteligencia
La ONG denunció la inmovilización de fondos de colectivos indígenas y ambientalistas sin órdenes judiciales

Un estudio arrojó que 8 de cada 10 chilenos no cree que los políticos estén conectados con los problemas de la gente
El sondeo realizado por la Universidad de Los Andes también reveló que casi la mitad de la población ve el futuro con incertidumbre



